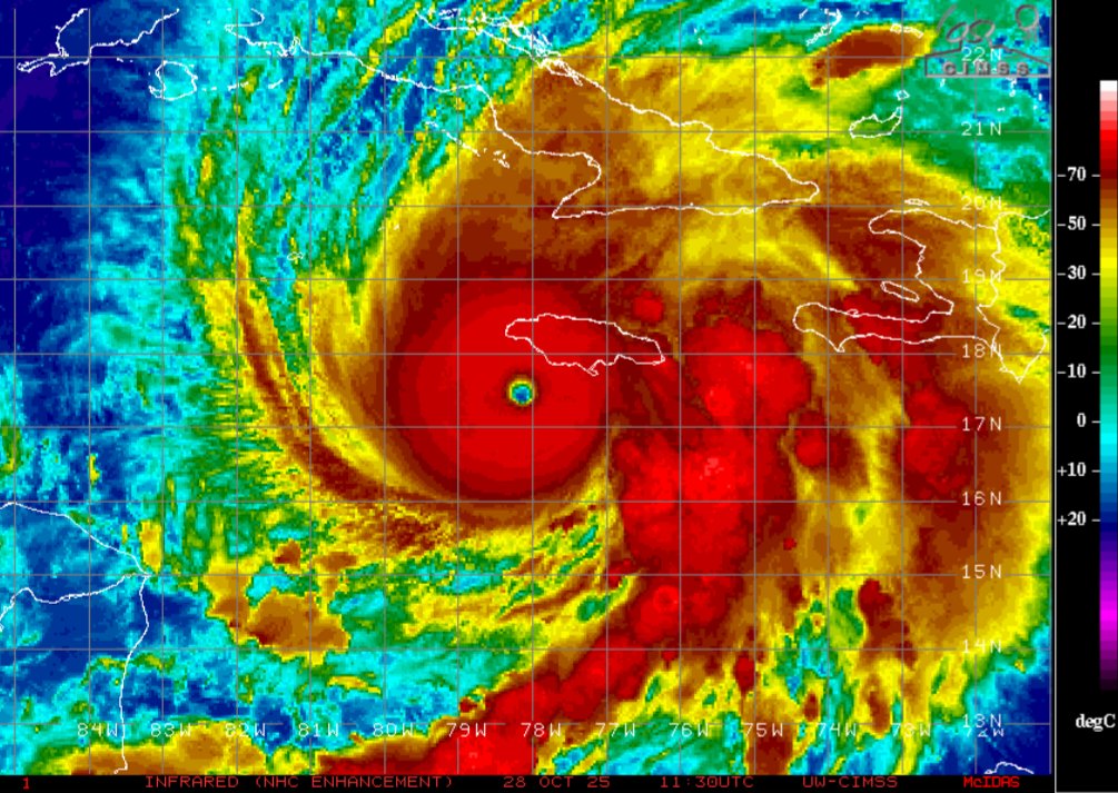
Si me permiten abro hilo porque me parece muy interesante hablar del devastador huracán que se ha formado en el Caribe, el huracán Melissa.

Actualmente es un huracán de categoría 5 con vientos máximos sostenidos de
270-280 km/h, el huracán presenta una rápida intensificación además de un lento movimiento que es lo que le hace un huracán potencialmente desvastador.
Se encuentra al sur de la isla de Jamaica la cual será la más afectada, impactará con marejada ciclónica de hasta 5 metros, vientos de
+250 km/h y lluvias que podrían acumular hasta 700 mm. Después posiblemente afecte de igual o más debilitada a al este de Cuba y oeste de Haití. No presenta ningún riesgo para España actualmente.
Las imágenes son impactantes, hace un año tuvimos al huracán Milton de intensidad similar lo que nos indica un aumento de estos huracanes bestiales en estas fechas.

